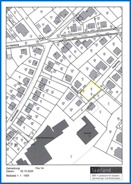
Schönes Baugrundstück in ruhiger Sackgassenwohnlage

Video zu dieser Immobilie
Datenblatt
Objektnummer 116-25
Nutzungsart Wohnen
Vermarktungsart Kauf
Objektart Grundstück
Objekttyp Wohnen
PLZ 66663
Ort Merzig
Land Deutschland
Grundstücksgröße 585 m²
Objektnummer 116-25 Nutzungsart Wohnen
Vermarktungsart Kauf Objektart Grundstück
Objekttyp Wohnen PLZ 66663
Ort Merzig Land Deutschland
Grundstücksgröße 585 m²

Hinweis zur Provision: 3 % des Kaufpreises zzgl. ges. MwSt.

Details zur Immobilie
Verkauft wird ein schön geschnittenes Baugrundstück
Es liegt ein Bebauungsplan vor.
Grundflächenzahl (GRZ) 0,4
Geschoßflächenzahl (GFZ) 0,4
Vollgeschosse 1
Das Grundstück liegt in wunderschöner, ruhiger Sackgassenlage von Merzig
Die genauen baurechtlichen Möglichkeiten/Festsetzungen möchten Sie bitte direkt beim zuständigen Bauamt in Merzig unter 06861-85-470 erfragen.
Kaufpreis 148.000 €
Außen-Provision 3 % des Kaufpreises zzgl. ges. MwSt.
Energieausweis Skala Energieausweis Zeiger
Bebaubar nach B Plan
Details zur Immobilie
Energieausweisdaten
Energieausweis Skala Energieausweis Zeiger
Bebaubar nach B Plan
Kaufpreis 148.000 €
Außen-Provision 3 % des Kaufpreises zzgl. ges. MwSt.
Beschreibung der Immobilie Verkauft wird ein schön geschnittenes Baugrundstück Ausstattung der Immobilie Es liegt ein Bebauungsplan vor.
Grundflächenzahl (GRZ) 0,4
Geschoßflächenzahl (GFZ) 0,4
Vollgeschosse 1
Hier befindet sich die Immobilie Das Grundstück liegt in wunderschöner, ruhiger Sackgassenlage von Merzig Sonstige Angaben zur Immobilie Die genauen baurechtlichen Möglichkeiten/Festsetzungen möchten Sie bitte direkt beim zuständigen Bauamt in Merzig unter 06861-85-470 erfragen.
Ansprechpartner

Firma Udo Stein
Brauerstraße 6
66663 Merzig

Telefon 06861-6138 Fax 06861-77338 E-Mail anfrage@anfrage.immo-merzig.de

Sofortanfrage
Ich bin mit den Datenschutzbestimmungen einverstanden.

Mit * gekennzeichnete Felder sind Pflichtangaben

Stein Immobilien & Hausverwaltung GmbH

Rufen Sie uns an. Wir freuen uns auf ein persönliches Gespräch.

06861-6138
08 Dezember 2025

Verwaltung: 120 WEG 

Verkauf: 1.389 Objekte